欢迎访问南京市住房保障和房产局网站
南京市人民政府网站
|
无障碍阅读
网站首页
机构信息
政府信息公开
互动交流
政务服务
概况信息
人事任免
政府文件及解读
财政信息
公示公告
申请公开政府信息
来信办理统计
我要写信
意见征集
来信办理
办件公示
批后公示
在线服务
下载中心
当前位置:
首页
>
专题专栏
>
房屋管理
>
科学知识
白蚁和蚂蚁的区别
文章来源: 发布时间:2017-10-23 11:46 阅读次数:
显示稿件总访问量
白蚁有翅繁殖蚁
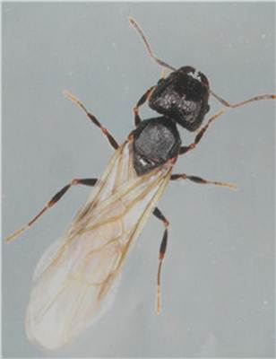
蚂蚁有翅繁殖蚁
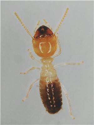
白蚁工蚁
蚂蚁工蚁
【打印此页】
【关闭窗口】